newsroom
News Room : Babar Azam, Haris Rauf star as New Zealand...
If you’re Ireland, Test matches are quite like buses, you wait ages for one and then suddenly here come three to take you on...
News Room : Holy Fire celebrated by Christians in Jerusalem amid...
Aljazeera reported that France’s constitutional court has approved the key elements of President Emmanuel Macron’s pension reforms, triggering new nationwide protests against the plan.
The...
News Room : Ireland is ‘part of my soul’ – Joe...
BBC reported that US President Joe Biden has reinforced his pride in his family links to Mayo in the Republic of Ireland saying the...
News Room : French court approves Macron’s plan to raise retirement...
Aljazeera reported that North Korea has launched what could be a “new type” of ballistic missile that landed in the waters between the Korean...
News Room : Dominant Pakistan steamroll brittle New Zealand despite Henry...
By Reemus Fernando
The Department of Sports of the Ministry of Education has made amendments to its sports programmes that will pave the way...
News Room : Fair weather except in Western, Sabaragamuwa, Southern and...
Weather forecast issued at 05.30 a.m. on 11 April 2023 by the Department of Meteorology.
Showers or thundershowers will occur at a few places in...
News Room : Sun directly overhead Kiranchi, Kokavil and Puthukkuduirippu at...
On the apparent northward relative motion of the sun, it is going to be directly over the latitudes of Sri Lanka during 05th to...
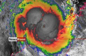
News Room : Cyclone Ilsa hits Western Australia – The Island
Aljazeera reported that North Korea has launched what could be a “new type” of ballistic missile that landed in the waters between the Korean...
News Room : Move forward as one Sri Lankan nation to...
President Ranil Wickremesinghe in his New Year message called upon all Sri Lankans to move forward unitedly as one Sri Lankan nation to be...
News Room : Tewatia finishes another chase after Gill’s match-defining 67...
Aljazeera reported that North Korea has launched what could be a “new type” of ballistic missile that landed in the waters between the Korean...









